Conagua
Internacionales
VIDEOS: Así se ve el ojo del poderoso huracán Kristy
- por Emisoras Unidas
- 01:10 PM, Oct 25
Internacionales
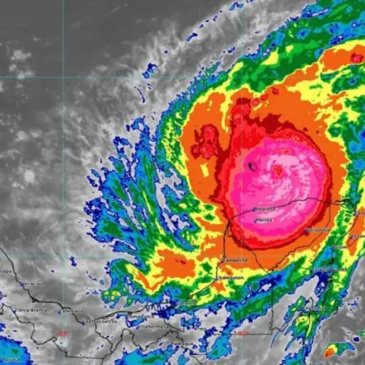
Huracán Pamela toca tierra en las costas de México
- por Carlos Alfredo Ordoñez
- 07:46 AM, Oct 13
En Portada
Temas
×
¿Activar notificaciones?
Recibe las últimas novedades directamente en tu dispositivo.