Huracanes
Internacionales
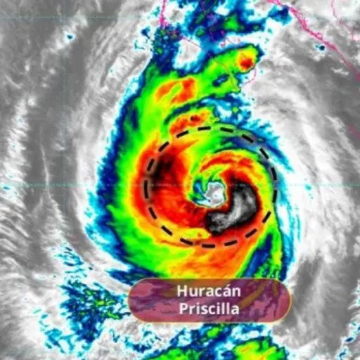
Huracán Priscilla se debilita a categoría 1
- por Carlos Alfredo Ordoñez
- 01:28 PM, Oct 08
Internacionales
Tormenta Humberto se fortalece en el Atlántico
- por Carlos Alfredo Ordoñez
- 02:40 PM, Sep 25
En Portada
Temas
×
¿Activar notificaciones?
Recibe las últimas novedades directamente en tu dispositivo.